| Dies ist nur ein Beispiel. Aus diesen Informationen können keine Rechte abgeleitet werden. Für die richtigen Kosten fühlen Sie bitte das Kontaktformular aus. | |
| Notarkosten und Grunderwerbsteuer Zum aktuellen Verkaufspreis/ einmalig |
€ 20.414 |
| Grundsteuer Geschätzt |
Geschätzt zwischen € 550 und € 1.925 |
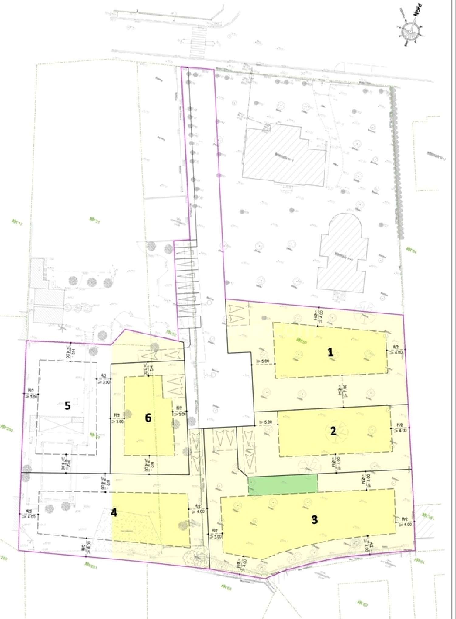
Ich möchte mehr Informationen zu dieser Immobilie haben Grundstück Saint-Estève, Pyrénées-Orientales, Referenz: 830037353085
andere Immobilien in der Gegend
Grundstück Villelongue-dels-Monts
Pyrénées-Orientales
auf 12 Km
€ 299.000
Grundstück Villelongue-dels-Monts
